Собираясь на рыбалку неделю назад на леща и смотря прогноз погоды на ближайшие двое суток, прогноз на хороший клев были неблагоприятный. Перепад температур от -12 до -21 градуса. Перепад давления от 745 до 762 мм рт. ст.. Сильный холодный ветер и полнолуние. В полнолуние зачастую у меня не складывается клев. Но после долгой оттепели, после январских праздников хотелось пойти на рыбалку. К вечеру пришел на точку увидит только 1 палатку друга, остальные все дружно снялись и ушли видя какой перелом погоды происходит. Поставил палатку, прикормился и стал ждать поклевки. К ночи убрав сильный свет, увидел первые поклевки. Потом встав в 5 утра, обнаружил ,что рыба стала активнее и начался клёв. Весь день и следующую ночь лещ клевал активно, удалось вытащить 3 килограммовых поздней ночью. Раньше никогда не ходил на рыбалку, когда идет слом погоды и полнолунье. Рыбалка удалась!





Отчеты с зимних рыбалок 2022-2023
Сообщений 241 страница 270 из 480
Поделиться2412023-01-19 17:18:26
Поделиться2432023-01-20 13:58:22
Pashok

Поделиться2442023-01-20 14:31:03
На водохранилище сегодня 0000, ветрище пипец, сижу на ящике, слышу чьи-то санки по льду скользят, когда проезжали мимо меня, понял что это МОИ!!
Поделиться2452023-01-20 15:03:13
Надо запретить ему Pashok писать отчёты, уже ни какие нервы не выдерживают. 
Поделиться2462023-01-20 15:13:36
Amor Ром, в районе Северного моста был?
Да, ветер достал. Не люблю его, ни зимой, ни летом.
Поделиться2472023-01-20 15:22:18
Васёк
Все-всё на целых два дня умолкаю. Пусть другие половят отчитаются. Я пока отдохну, а будни снова буду делать нервы! 
Отредактировано Pashok (2023-01-20 19:36:21)
Поделиться2482023-01-20 16:54:00
Amor Ром, в районе Северного моста был?
Да, ветер достал. Не люблю его, ни зимой, ни летом.
Да Паш, а мне нравится, народу много всегда, весело, Диман в гости заходил, плотвы мешок наловил.! 
Отредактировано Amor (2023-01-20 16:55:19)
Поделиться2492023-01-20 20:10:54
Сходил , подышал ,мультиков насмотрелся ....поначалу прям весело , подходы подскоки , но мелочь ....а как свет выключили , вообще тишина , правда лазил по мелякам до 4,5 м ....может и не судак был ....в темноте сходил на русло , тихо , подошел на лунки свежие , видно палатка стояла , а в низу движуха , рыб до метра от дна ....видать кормили ....плюнул и сейчас домой пойду , чай допью .....
Поделиться2502023-01-21 15:27:06








Вторая половина предложила мяса пожарить. Я за,но не дома же. Погнали в Арзыбовку,заодно живца выгулять. Выставился на плато 2 метра,когда то озеро здесь было,теперь затянуло распаханными под самый берег полями.
В 11 начались подъемы,но все мимо кассы,мотает и бросает. Пока жарили мясо,3 подъема,одну докилошку вынули. Задача максимум выполнена: мясо,выгул живцов и свежий ветер в жилы 
Поделиться2512023-01-21 19:50:24
костоправ
Жень класс!
Но опять в холодильник лезть. 
Поделиться2522023-01-21 20:53:16
Сергей Ж.
Ещё один кандидат на запрет отчётов. 
Поделиться2532023-01-22 14:55:22
Сергей Ж.
Ещё один кандидат на запрет отчётов.
Василий, их и так нет. Выходные общероссийские прошли, а на рыбалке, похоже, был один костоправ
Поделиться2542023-01-22 14:57:19
Pashok
опять в холодильник лезть.
Поделиться2562023-01-22 21:47:16
griboedov2015

Поделиться2572023-01-22 23:46:02
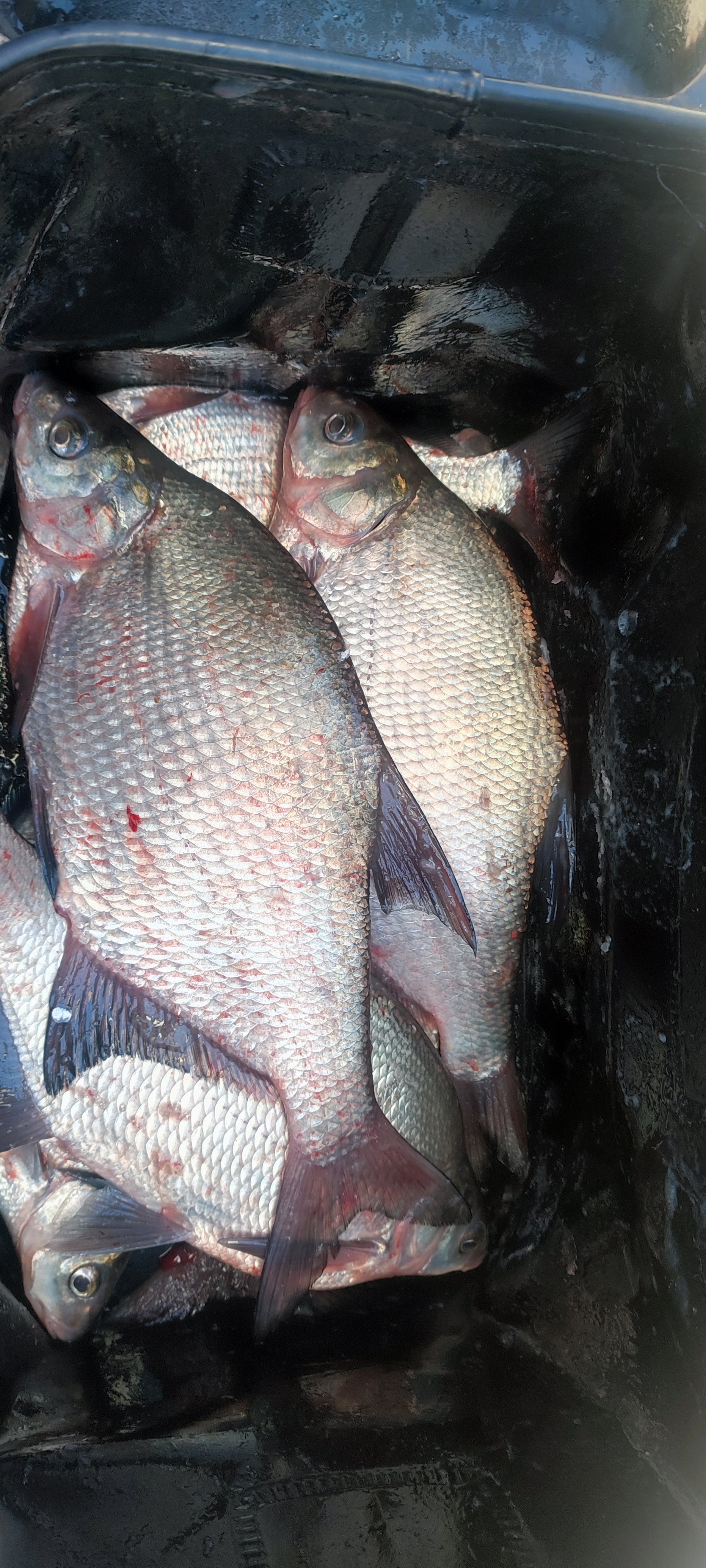
Был вновь на Саврасова. На лёд вышел ещё в темноте, идти скользко, снега нет совсем. На лешёвых точках народ устанавливает палатки, под Лесной сияет огнями город лещатников. По ориентирам нахожу место с необходимой мне глубиной, рядом оказывается мой хороший знакомый Юрик. Поздоровались, начинаем бурить. У меня две лунки, одна закармливается чистым кормовым мотылем, вторая экспериментальной (для меня) сыпухой. Скажу сразу - эксперимент неудачный, рыба отзывалась только на "мясо".
Ожидание поклевок затянулось, кивки шевелились только свежим ветерком. У Юры уже есть результат - оклокилошный " подлец" на игру, на подвесной крючок. Наконец выпрямляется кивок и у меня, при вываживании рыба почти не сопротивляется и только у лунки по тяжести становится понятно, что это неплохой подлещик. Начало есть! Затем на игру спортивной мормышкой попадается ещё три плоских граммов по 600-700, на стоячую очень редкие шевеления с пустыми подсечками. Ветерок мешает ловить и пробует забраться под куртку. Лунка постоянно замерзает, превращаясь из 130 в 100. Вновь поклёвка на игру, рып свободно даёт поднять себя почти до льда и перед самой лункой начинает нехило бодаться, 0,08 лесочка звенит, раза три пришлось стравливать! Не без труда, всё-таки подвожу Лёшу к поверхности, а он в померзшую лунку не проходит! Пришлось лезть в ящик за багориком и пропихивать рыбу "через чужую". На взгляд плоский около кило двести! Мой рекорд этого ледового сезона.
К 13 часам поклёвки стихли, поскучав ещё полтора часа, начинаю сборы ко двору. Рыбалка удалась, мелочи практически не было (две плотвы и ёрш не в счёт).
Всем НХНЧ! С уважением, Жуков С.И.
Отредактировано Жуков Сергей (2023-01-22 23:53:31)
Поделиться2582023-01-23 10:27:56
Серый молодец ! Вот таранка будет исключительная !!!
Поделиться2592023-01-23 13:24:51
Сергей Ильич! взял бы и хоть раз приглосил.,. Я вчера ты был на Северном напротив Козначейства... Херь полная!!! На плотвиных местах только сопливый! Что на поплавок, что на игру.
Поделиться2602023-01-23 15:56:16
Сергей Ильич! взял бы и хоть раз приглосил.,. Я вчера ты был на Северном напротив Козначейства... Херь полная!!! На плотвиных местах только сопливый! Что на поплавок, что на игру.
Ты просто не нашёл того мыска, там плотва всегда стоит
Поделиться2612023-01-23 16:35:31
Активный выходной!
Пока город видит последние сны перед рабочей неделей, я уже бурю лёд. Сегодня поленился и взял шурик. Еще в темноте клюнул небольшой клыкастый на 1,6. На глубине 3,5м почти под берегом. Вот не ждал его там! Затем на рассвете из этой же лунки достаю закилошную щучку. Через час здесь же ещё поклевка, но теперь мимо. Не всё коту творог. После 10-00, когда солне начало слепить, хыщник проснулся. Ох, и набегался я! 6 подряд поклевок и все мимо. Лишь напоследок удалось зацепить полторашку.
После обеда завожу старшего в школу, хватаю мелкого из школы и мчим кататься на коньках. Благо, сразу нашли полоску чистого ровного льда. Так и сгоняли по ней от Отрожки до Максимки и обратно 5 км! Заряд бодрости получен! Диван- зло.




Отредактировано Pashok (2023-01-23 16:41:46)
Поделиться2622023-01-23 16:43:02
В такую погоду усидеть дома пенсионеру трудно,тем более сын выходной. Завозим внука в школу и полдевятого на берегу.
По три стопки за мирное небо и выставляться. Ставлю третью,на первой флаг,подкилошка. Расставляюсь очень широко,разведчиков на русло,остальные на пологий свал. Подъем за подъемом,но почти все холостые,берет,жует и бросает. Забегался,и только полдвенадцатого первый раз присел,чайку глотнуть.
Погодка шик
тихо,солнце, и лишь пролетающие самолеты возвращают мысли в непростую реальность...
В 2 смотались,на двоих десяток съедобных,да плюс я одну подтрешку слил. Голову высунула из лунки и срезала леску,рефлекторно руку в лунку по локоть,но лишь погладил. Хорошо в Делике рукавицы запасные лежат.
Завтра денек поработать и опять на вольный ветер,на рыбалку



Поделиться2632023-01-23 17:16:12
Завтра денек поработать и опять на вольный ветер,на рыбалку
Я тоже именно так!
Дядь Жень, может и правда пора завязывать с отчётами?! Давай писать хотя бы через десяток рыбалок? Так, чтоб лишь бы не забывали. А то народ уже всерьёз волнуется!
Благо, хоть Дед Щукарь молчит
, нервы рабочего класса бережёт. 
Отредактировано Pashok (2023-01-23 18:24:29)
Поделиться2642023-01-24 13:12:24
Вчера посетил песчановку. Как деловой купил кормового мотыля ,приехал правда поздновато около 11,вроде как нашёл прошлогоднее место на 6 метрах,но поймал всего одну плотву
Лёд трешал сильно,может в этом причина.Под берегом побаловался спортивным окуньком и поехал до дома.На выходных собираюсь ещё,буду рад компании
Поделиться2652023-01-24 15:11:38
Сегодня с Романом Николаевичем всё там же на ямах у Северного.....
Ехать далеко не хотелось..И решили позагарать в городской черте.
Под устал немного после трудовых будней,и понял с утра, что бурить лёд в поисках судака желания совсем нет.
Да и судя по результатам других,думаю что ни чего (или ни кого) не потерял.
С удовольствием в такую погоду побаловался мормышкой!
Нашёл уже знакомое русло затопленной речки с лёгким течением,там и крутился.
С утра немного поклёвок увидел.К 11 стало скучно.
Взял другую удилку,минимизировал до спортивного леску и мормышку.Не особо помогло.
Лёд потрескивал.
Погода сказка!
Всем НХНЧ!


Поделиться2662023-01-24 15:38:22
Щука тоже промолчала!!! Зато погодка супер!!! 
Поделиться2672023-01-24 16:07:07
Дядь Жень, может и правда пора завязывать с отчётами
Паш,давай без дядей,а то я сразу каким то старым себя ощущаю. Просто Евгений,или Женя. Без обид...
Поделиться2682023-01-24 16:30:58
Щука тоже промолчала!!! Зато погодка супер!!!
Дяса ,издалека видать ))
Поделиться2692023-01-24 17:05:12
Дяса ,издалека видать ))
Хорошего человека должно быть много!! 
Поделиться2702023-01-24 19:44:58
костоправ
Просто мой отец тебе ровесник. Евгений, какие могут быть обиды?! 






